family CERAMBYCIDAE Latreille, 1802
subfamily LEPTURINAE Latereille, 1802
tribe Xylosteini Reitter, 1913
genus Xylosteus Frivaldsky von Frivald, 1837
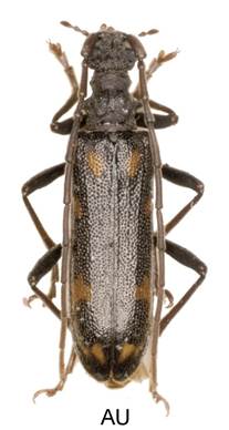
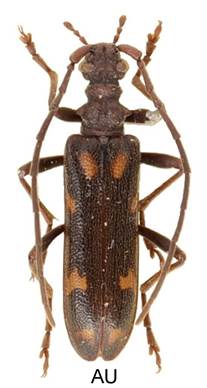
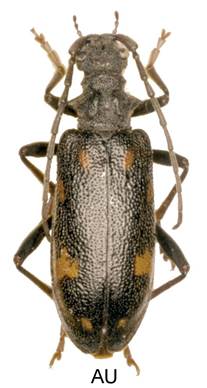
Xylosteus spinolae Frivaldszki von Frivald, 1837





Velikost 12-16 mm.
Bionomie. Ve střední Evropě je známý pouze z jihovýchodního Rakouska. Larva se vyvíjejí v odumřelém sinějším dřevě, pahýlech, suchých kmíncích zejména lísek (Corylus), podle literatury také jedlích (Abies) a smrcích (Picea). Soumračný a noční druh. Imaga v V-VI.
Variabilita. Žluté skvrny mohou mít různý tvar, nebo zcela chybějí.
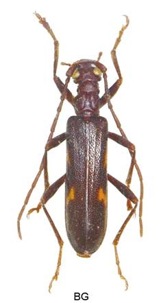
Xylosteus bartoni Obenberger & Mařan, 1933




 
  
 
   
   